Before & After Gallery
Photos in our online gallery are of actual patients of our practice, unless otherwise noted, who have kindly provided consent to display their pictures online. Due to the sensitive nature of many procedures, additional before & after photos are available exclusively for in-office viewing. You can schedule a private gallery review with our nurse—either in person or virtually—without needing to book a formal consultation with Dr. Aimé. Many patients choose to share their photos only within this private collection to maintain their privacy. We appreciate their trust and are happy to offer you a respectful, discreet space to view more examples of our work. Please keep in mind that each patient is unique and your results may vary.
Ruptured Saline Implant Replacement
This patient in her late 40s presented with sudden deflation of her left breast due to rupture of a saline implant placed approximately 25 years prior. Over the next day, the asymmetry became more pronounced as the implant continued to deflate. She was unsure whether to replace or remove her implants but wished to maintain a similar size if proceeding with replacement. Because breast tissue and implant pockets can contract after rupture, we discussed maintaining symmetry by either replacing the implants quickly or deflating the opposite side. She chose in-office deflation of the intact right implant, allowing both sides to deflate in a controlled, coordinated manner and contract more evenly while she considered her options. She ultimately elected implant replacement, as she did not prefer the deflated appearance. Implant selection was guided by the measured volume from deflation to closely match her prior size and proportions. She underwent placement of 430 cc Mentor MemoryGel Boost silicone implants in a moderate plus profile. Her results show restored symmetry and a natural contour. She is very happy with her outcome, noting the silicone implants feel softer and more like natural breast tissue, without the “sloshing” sensation she experienced with saline implants.
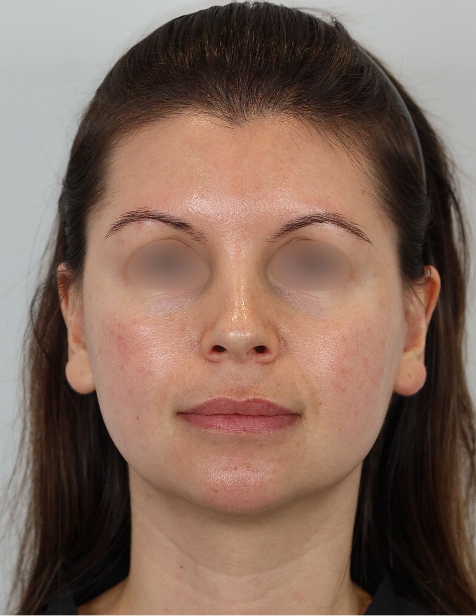
Upper Eyelid Lift (Upper Blepharoplast) with Ptosis Repair and Facial Fat Grafting
This patient previously underwent an upper blepharoplasty in 2021, followed by a revision with her original surgeon, but was ultimately left feeling that her eyes appeared more closed and tired despite improvement in excess skin. She also felt that the scars were visible and uneven. When she presented for revision, her goal was to restore a more open, refreshed appearance that better reflected how she feels. She underwent a revision upper blepharoplasty with ptosis repair (tightening of the eyelid muscle to improve eye opening) along with comprehensive facial fat grafting to restore volume and soften harsher lines of aging. Fat grafting was strategically placed to the forehead, temples, brow, tear troughs and under eye areas, midface and cheeks, and around her mouth areas to improve contour, balance, and overall facial harmony. This added volume helps smooth transitions between facial units and creates a softer, more youthful appearance without looking overdone. Her results show a brighter, more open eye position with improved symmetry and smoother upper eyelid contours, along with a noticeable softening of facial lines and restoration of youthful volume. She is ecstatic with her results, feels like herself again, and now embraces being in photos. She frequently receives compliments like “you never age!,” reflecting the natural, refreshed outcome she was hoping to achieve.
Breast Augmentation
This patient in her mid-to-late 20s had been considering breast augmentation for many years and ultimately chose to move forward with a personalized approach to match her goals. She underwent breast augmentation with Mentor MemoryGel Boost smooth round, cohesive, form-stable silicone gel implants placed in the subfascial plane—positioned over the muscle but beneath the fascia—to avoid disruption of the pectoralis muscle as well as avoid an animation deformity. To achieve a balanced, full but natural result with mid-range projection, moderate-high profile implants were selected. Given her pre-existing breast asymmetry (right breast larger than left) and mild constriction on the left side, two different implant sizes were used (355cc on the left and 375cc on the right), along with a subtle lowering of the left inframammary fold to improve symmetry and shape. Exparel was utilized during surgery to enhance postoperative comfort, and she experienced minimal pain, returning to work just a few days later. She is thrilled with her outcome, noting a more feminine silhouette and the flexibility to style her cleavage depending on her clothing. She especially appreciates the improved upper pole fullness, which has made her feel more confident in strapless tops and dresses that she previously avoided.
Fat Transfer to Buttocks (BBL)
This patient in her 30s is shown one year after undergoing a Brazilian Butt Lift (BBL), which is an autologous fat transfer to the buttocks, performed awake in the office under local anesthesia. Fat was carefully harvested from her abdomen, waistline, and back to enhance her overall shape and create more curvature through the hips and buttocks. She also underwent a separate fat transfer to the breasts, and later chose to have a tummy tuck to further refine her abdominal contour. At this stage, she demonstrates a smoother, more sculpted back and a fuller, more contoured silhouette with improved hip-to-waist definition. Some residual loose skin of the abdomen is visible following liposuction, which was later addressed with her tummy tuck. She has maintained good fat retention and is very happy with her results.
Upper Blepharoplasty (Eyelid Lift)
This patient in her 30s is now 6 months out from an upper blepharoplasty performed awake in the office using only local anesthesia. She originally came in after noticing increasing upper eyelid skin redundancy over time and even brought in photos to show the progression. While she had been using brow Botox intermittently to help “off-weight” her eyelids, she wanted a more lasting solution—especially with her wedding coming up and a goal of looking refreshed. She had done her research beforehand and felt well-informed at the time of consultation. At 6 months, she has a natural, refreshed appearance with more visible upper eyelid show and a smoother contour, particularly when her eyes are closed where she previously had crepey, excess skin. Her scars are now barely visible, and she is very happy with her results and decision to undergo the procedure.
Neck (Chin) Liposuction
This patient in her early 30s was bothered by fullness beneath her chin that made her feel like she looked heavier than she was. Even at a stable weight, the extra fullness blurred her natural jawline and neck contour rather than reflecting the rest of her figure. She underwent chin and neck liposuction performed awake in the office using tumescent (numbing) fluid. This technique allows for precise contouring of the area under the chin and along the upper neck without the need for general anesthesia. Her after photos show a more defined jawline, improved neck contour, and a slimmer appearance through the lower face. She is very pleased with her results and feels that her profile now better reflects her youthful appearance.
Arm Liposuction
This patient in her 20s was consistently self-conscious about the fullness of her upper arms. She described feeling uncomfortable in fitted sleeves and often chose clothing based on how it would camouflage her arms rather than what she truly wanted to wear. After discussing options, including brachioplasty (arm lift), she elected to proceed with liposuction alone to avoid the longer scar associated with an arm lift. Given her young age and good skin elasticity, we felt it was reasonable to start with liposuction and allow her skin the opportunity to retract naturally, with the understanding that an arm lift could still be considered in the future if needed. Her procedure was performed awake in the office using tumescent anesthesia (numbing fluid). Fat was carefully removed to create a more streamlined arm contour while maintaining natural proportions. Postoperatively, her skin retracted very well, and she achieved a smooth, more defined arm shape without the need for additional skin excision. She is very pleased with her results and feels more comfortable and confident wearing sleeves and fitted clothing.
Tummy Tuck
This patient in her mid-30s, a mother of three, previously underwent liposuction of her abdomen and waist with BBL with Dr. Aimé. While her contour improved, she continued to feel bothered by loose skin and abdominal muscle separation after pregnancy. Her primary goal was simple: a flatter stomach so she could wear the clothes she wanted without feeling the need to cover up. She shared that she had never worn a bikini because she disliked the appearance of her abdomen. She underwent a tummy tuck with muscle repair (plication) to tighten the abdominal wall and remove excess skin. Long-acting local anesthetic was used during surgery to support early comfort in recovery. Special care was taken in planning her incision placement to preserve her intricate thigh tattoos on both sides, maintaining her personal aesthetic while achieving surgical goals. Postoperatively, her abdomen appears flatter and smoother with improved contour and core tightening that liposuction alone cannot provide. She returned to work running her company with her husband just one week after surgery. She is very pleased with her results and feels more confident wearing fitted clothing — and is finally considering that bikini.
Upper Blepharoplasty (Eyelid Lift)
This patient in her mid to late 20s chose to undergo an awake upper blepharoplasty performed in the office under local anesthesia to address excess upper eyelid skin that caused her eye makeup to crease and wear unevenly. Despite her young age, the extra lid skin was something she noticed daily and found bothersome when applying makeup. The procedure focused on removing the excess skin while preserving a natural eyelid shape and crease. She tolerated the procedure well under awake under local anesthesia and was able to return to normal activities quickly. At follow-up, she is very happy with her results and notes a smoother, more refreshed upper eyelid appearance. Most importantly to her, her makeup now applies more evenly and stays in place without creasing, giving her a natural result that still looks like her.
Upper Blepharoplasty (Upper Eyelid Lift)
This woman in her early forties was bothered by heavy upper eyelids and had stopped wearing upper eyelid eyeshadow because the skin felt weighed down and creased. She previously tried laser treatment around the eyes as a non-surgical eyelid-tightening option but saw minimal improvement. She ultimately underwent an awake upper blepharoplasty performed in the office under local anesthesia. At 6 months post-procedure, her upper eyelids appear lighter and more open, with improved definition of the lid crease—particularly on the left side, where excess skin had been folding and creasing—and she is very happy with her results.
Facial Fat Grafting
This woman in her early 30s decided to have a facial fat grafting procedure performed in our office while she was awake, using only local anesthesia for comfort. Her goal was to restore the natural fullness her face had in her younger years, focusing on areas like the cheeks, under-eyes, and jawline where volume had decreased. She chose fat transfer as a natural, longer-lasting alternative after a previous dissatisfaction with temporary dermal fillers used five years prior. We gently collected fat from her lower abdomen (a common and comfortable area), purified it, and carefully transferred it to several facial regions: the upper eyelid and brow to address a hollow look; the under-eye and tear troughs to soften the transition to the cheeks; the cheeks and cheekbones to restore lift and volume; smile lines (nasolabial folds) to smooth deep creases; the upper and lower lips for subtle, natural fullness; the marionette lines and around the chin to improve lower facial contour; and the chin to enhance projection and balance. The final results show improved facial fullness, smoother contours, and a softer, more youthful appearance that still preserves her natural features.
Upper Blepharoplasty (Upper Eyelid Lift)
This woman in her early 40s felt that her upper eyelids appeared heavy and made her look more tired than she felt. She first became aware of the issue after seeing a photograph taken at a professional conference, where lighting and shadowing accentuated excess upper eyelid skin. She underwent an awake, in-office upper blepharoplasty to gently remove redundant skin and restore a more refreshed appearance, while maintaining her natural eye shape and expression. Her goal was a subtle change—simply to look more rested and like herself on her best days. At 6 months post-procedure, her upper eyelids appear lighter and more open, with results that are natural and not overdone. The incision scars are discreet and barely visible, blending into the natural upper eyelid crease.
Upper Blepharoplasty & Brow Lift
This patient in her early 60s desired a refreshed, natural appearance. She felt that her upper eyelids and brows made her look older and more tired than she felt on the inside. Her goal was a subtle improvement without looking “surprised” or noticeably operated on. She is very happy with her results and has received many compliments about appearing more rested and rejuvenated, while friends and family are unable to pinpoint why — exactly the outcome she hoped for.
Breast Lift with Implant Exchange and Reduction
This patient in her mid-40s breastfed one child and afterward felt her breasts became noticeably droopy. About 15–20 years ago, she consulted a different plastic surgeon who recommended a breast lift, but she wasn’t ready for that procedure at the time. She instead chose implants to achieve subtle lifting and restore upper-pole fullness. While this increased her volume from a D to a DDD, the larger breasts eventually caused neck and back pain that interfered with daily life. As an avid golfer, this patient was looking to achieve a cup size in the B-C range. As well as smaller areolas to create an more balanced overall breast shape. She came to us hoping to be closer to a B–C cup range, with smaller areolas and a lighter, more balanced overall breast shape. During surgery, her prior silicone implants—estimated around 250cc—were found to be silently ruptured (with no capsular contracture and not visible on mammogram). These were removed, and new Mentor smooth round Moderate High Boost silicone gel implants (355cc) were placed in her existing sub-muscular pockets. A significant amount of excess breast tissue along the lower breast poles was removed, and her nipples and areolas were lifted and downsized to create a more proportionate, youthful contour. Her breasts now better match her frame, and lifting the breast position has also visually elongated her abdomen. A tattoo that was previously hidden beneath the breast fold is now visible again. Her back and neck pain is also resolved and no longer interferes with her playing her favorite sport.
Secondary Breast Lift with Implant Exchange
This patient in her mid to late 50s previously underwent a breast lift with implants 10–15 years ago. After having three children and losing weight, she noticed that her breasts no longer sat where she preferred without a very supportive, padded push-up bra. Unclothed, she felt her breasts looked deflated and lower than she wanted. She also wanted to increase from her B/C cup to a fuller C/D cup with a round, augmented look. During surgery, her original smooth round silicone implants—estimated at ~400cc—were found to be unknowingly ruptured (silent ruptures not appreciated on her mammograms). These were removed, and new Mentor Moderate-High Boost smooth round silicone gel implants (635cc) were placed in her existing under the muscle pockets along with a secondary breast lift to restore shape, position, and fullness. She, and her significant other, are very happy with her results. She feels more confident in clothing, especially bras and swimsuits. Similar to many of our other breast patients, she prefers to skip the bra and only wear pasties.
Tummy Tuck
This patient in her early 40s, a mother of one, came in after having prior liposuction of her abdomen and waist performed elsewhere, still bothered by upper abdominal fullness, muscle laxity, and a small rectus diastasis. She underwent a full tummy tuck (abdominoplasty) under general anesthesia to repair the muscle separation and remove excess skin for a smoother, flatter contour. She was very anxious about postoperative pain, but with the use of Exparel—my standard approach for tummy tucks—she experienced only mild discomfort. At her one-week visit she was walking so comfortably that, had I not known she was postoperative, I wouldn’t have guessed she had undergone major abdominal surgery. She even asked if she could return to work at week one because she felt so good. She was pleasantly surprised that she never experienced the severe swelling or prolonged discomfort (“swell hell”) often described online, and is thrilled with her early results and smooth recovery.
Ruptured Implant Removal & Auto-Augmentation Breast Lift
This patient in her early 40s had under the muscle 500cc silicone implants placed more than 20 years ago—of which the left side had ruptured, while the right implant was surprisingly still intact. She disliked having large breasts, especially because the implant size had originally been chosen by a former partner rather than herself. Her goal was to remove the implants entirely and return to the small, perky breast shape that better fit her natural frame. We removed both implants and performed a breast lift and used an auto-augmentation technique to reshape and preserve nearly all of her native breast tissue. Her final result reflects exactly what she wanted—soft, naturally lifted breasts that match her pre-implant aesthetic while eliminating the discomfort and issues associated with her implants. She has been thrilled to buy new bras and finally feels that her breast shape truly matches her body and identity.
Upper Blepharoplasty (Eyelid Lift)
This patient in her mid-50s felt that her upper eyelids were beginning to look heavy, making her eyes appear partially closed even when she was fully awake. She underwent an upper blepharoplasty under local anesthesia to remove excess skin and restore a more open, rested appearance to her eyes. At four months post-op, she feels her eyes look brighter and more refreshed, and friends often comment that she looks well-rested—though they can’t always pinpoint why. She shared that having the procedure done was “so worthwhile,” and was pleasantly surprised to learn that several friends she never expected to consider plastic surgery had chosen to do the same. She’s very happy she did this for herself and loves the natural, rejuvenated result.
Breast Lift Revision with Implant Exchange & Internal Bra
This patient in her 30s underwent a revision breast lift (mastopexy) and implant exchange with internal mesh support. She had previously undergone a breast lift with small implants placed by another surgeon, followed by a second surgery several years later in which narrow, high-profile implants were used. She was unhappy with persistent breast asymmetry, loss of upper-pole fullness, and a droopy appearance of the lower breast poles. During her revision procedure, excess lower-pole tissue was removed to reshape and elevate the breasts, an internal bra (mesh) was placed for long-term support, and new Mentor smooth round Moderate-High Boost silicone gel implants were used — 500 cc on the left and 470 cc on the right — to improve balance, projection, and overall proportion to her frame. The result is a more lifted, youthful, and symmetrical breast shape with restored upper-pole fullness.
Breast Lift with Implants & Internal Bra
This patient, a mother of five, felt she had lost all her breast volume after breastfeeding her children and was left with significant sagging. She desired fuller, lifted breasts that restored her pre-pregnancy shape. A breast lift with implants was performed using the subfascial technique to provide natural support and contour. Mentor Moderate High Boost 355cc implants were placed on each side, achieving a rejuvenated, balanced, and youthful appearance.
Earlobe Repair & Reduction
This patient wanted to improve the appearance of her earlobes, which had stretched from multiple self-piercings and could no longer hold earrings securely. She also felt her lobes appeared long and deflated. She underwent repair, reduction, and removal of the extra piercing sites. Shown 2 months after surgery and immediately after repiercing, with earrings in place. (The blanching seen in the repiercing photos is from local anesthetic used during the procedure.)
Neck (Under Chin) Liposuction
In her mid forties, this patient noticed a small pocket of fat beneath her chin and the early appearance of a slight jowl, which made her jawline look less defined. She didn’t feel ready for a neck lift, so a precise, targeted liposuction treatment was performed to refine her profile and restore a smoother, more balanced contour.
Thigh Liposuction
This patient underwent awake liposuction of the inner and outer thighs, as well as the back of the thighs (“banana rolls,” the small fat pockets beneath the buttocks). She was most concerned about her outer thighs (“saddlebags”), which persisted despite consistent exercise and weight loss. After treatment, her thighs have a smoother contour and a balanced silhouette that complements the rest of her body.
Tummy Tuck & Waist/Flank Liposuction
This patient underwent a tummy tuck and waist/flank liposuction after weight fluctuations to tighten and refine her midsection. Now 2 years and 7 months post-op, she’s lost an additional 10 pounds, embraced a healthier lifestyle, and her toned abdomen and defined waistline show beautifully maintained results.
Eyelid Surgery (Upper Blepharoplasty & Ptosis Repair)
This patient in her 30s had right-sided eyelid drooping (ptosis) that had bothered her for years—especially noticeable in photos. She occasionally used Upneeq® drops for temporary improvement. She also had mild excess upper eyelid skin. We performed a bilateral upper blepharoplasty to refine the eyelid contour and a right-sided ptosis repair to restore symmetry and brighten her gaze.
Tummy Tuck
A woman in her 40s, mom of two, came to me after years of feeling bothered by the loose skin and abdominal muscle separation left from pregnancy. She is naturally thin and very fit, but the diastasis and skin overhang—especially noticeable when sitting—meant she always gravitated toward high-waisted swimsuits for coverage. We performed a tummy tuck with muscle repair to restore her core strength and create a smooth, flat contour. She was thrilled to finally see the underlying abdominal definition she worked so hard for in the gym and hiking. She had previously undergone arm, inner thigh and waist/flank liposuction (with faint thigh scars visible) and a separate fat transfer to the breasts (performed by Dr. Aimé), which complemented her overall balanced, athletic result.
Abdomen & Waist/Flank Liposuction (Lipo 360)
This man in his 40s maintains a healthy lifestyle with regular exercise and a balanced diet but struggled with stubborn fat around his midsection. He underwent liposuction to target the “tire” around his waistline, achieving a more sculpted, athletic torso that better reflects his hard work and fitness goals.
Breast Implant Exchange
This patient underwent removal of 20-year-old 475cc saline implants, previously placed in the submuscular plane. They were replaced with new silicone moderate-high profile implants to restore shape and volume. A capsulorrhaphy (internal pocket tightening) was performed on the left side to improve implant position and enhance breast symmetry.
Neck (Chin) Liposuction
This woman in her 30s underwent neck liposuction to address fullness under her chin—a feature she shared with family members. The procedure refined her jawline and reduced submental fat, creating a more sculpted and balanced neck profile with natural-looking definition.
Abdomen & Waist/Flank Liposuction (Lipo 360)
This mother of four, who maintains a regular fitness routine, wanted a more toned midsection without a tummy tuck. She also wanted to even out the small bulge of fat above and below her C-section scar—a common issue after childbirth. Liposuction was performed to contour the abdomen and smooth the transition over the scar. Fat harvested during the procedure was then transferred to her breasts to restore volume and enhance shape.
Neck (Chin) Liposuction
This woman in her 20s had always had a naturally full lower face and an obtuse neck angle that lacked definition. She underwent neck liposuction to sculpt the jawline and refine the neck contour. The result is a slimmer, more contoured profile that enhances her natural facial features and brings greater balance to her lower face.
Breast Lift with Implants & Internal Bra
This woman in her 30s underwent a breast lift with implants and an internal bra (mesh support) as part of her mommy makeover. After breastfeeding two children, she felt her breasts had lost volume and perkiness. This procedure restored her pre-pregnancy fullness, shape, and upper pole volume while providing long-term support with mesh reinforcement.
Gynecomastia
This male patient underwent left-sided gynecomastia surgery to correct asymmetry following a prior right-sided procedure performed years earlier. The result is a more balanced, flatter chest contour with improved symmetry and confidence.
Hair Restoration
This woman in her 60s presented with advanced female pattern hair thinning and had previously undergone a hair transplant with minimal visible improvement. She completed two sessions of scalp microneedling with exosomes and, at just 4 months post-treatment, has already seen increased hair density and regrowth.
Fat Transfer to Breasts
This woman in her 30s, a mother of four, desired fuller, more youthful-looking breasts after pregnancy and breastfeeding left her with volume loss. She opted for a fat transfer to enhance her breast shape without the use of implants. Using her own fat harvested from other areas of the body, we restored volume and contour for a soft, natural result that aligned with her goals and lifestyle.
Fat Transfer to Breasts
This woman in her 20s, with no history of pregnancy, had a naturally very flat chest and minimal breast tissue. She desired a modest, natural-looking increase in volume without the use of implants. Fat was carefully harvested from her abdomen and arms and transferred to her breasts to create gentle fullness and soft contour. The result is a subtle enhancement that maintains her natural proportions while giving her the shape she desired.
Lip Filler
This woman in her 30s wanted to enhance her lip volume, particularly noting that her lips appeared thinner when she smiled. She underwent subtle lip filler treatment to improve fullness and maintain natural balance both at rest and with expression. The result is a soft, refreshed look with improved definition and proportion that complements her facial features—especially when she smiles.
Tummy Tuck
This mother of five underwent a tummy tuck to remove a significant pannus (overhanging lower abdominal skin) that developed after multiple pregnancies. The procedure improved her abdominal contour by removing excess skin and fat, tightening the underlying muscles, and enhancing both comfort and mobility. This transformation provided both functional relief and a boost in confidence.
Fat Transfer to Breasts
This woman in her 40s, a mother of two, wanted to restore upper breast fullness and improve the slope of her breasts without using implants. She was particularly bothered by volume loss and sloping of her upper breasts. Fat was harvested from her upper back and thighs and carefully transferred to her breasts to enhance volume, shape, and contour.
Tummy Tuck
This mother of two sought improvement in her abdominal contour after developing a significant diastasis recti (separation of the abdominal muscles) following pregnancy. The muscle separation created a persistent bulge that made her appear pregnant despite being many years postpartum. She underwent a tummy tuck to repair the muscle separation and remove excess skin, resulting in a flatter, firmer abdomen and a more confident silhouette.
Eyelid Surgery (Upper Blepharoplasty)
This woman in her 40s noticed increasing heaviness in her upper eyelids over time, which made her eyes appear more tired than she felt. She chose to undergo an upper blepharoplasty to achieve a more open, refreshed appearance while still maintaining her natural look. The result is a subtle yet impactful rejuvenation that brightens her overall expression.
Eyelid Surgery (Upper Blepharoplasty)
This woman in her 60s underwent upper blepharoplasty to address inherited upper eyelid hooding that had gradually hidden her natural eyelid contour. After surgery, she was thrilled to once again see her permanent eyeliner and felt that the refreshed appearance significantly enhanced her overall look. She even retook her professional headshot, feeling more confident and vibrant than ever.
Eyelid Surgery (Upper Blepharoplasty)
This woman in her 60s sought a refreshed appearance by addressing excess skin and heaviness in her upper eyelids. She underwent an upper blepharoplasty to reduce hooding and improve the definition of her natural eyelid crease. She preferred not to have a brow lift, and was pleased with the more open, rested look achieved through eyelid surgery alone.
Lip & Chin Filler
This woman in her 20s received dermal filler to her lips and chin to improve overall facial harmony. Her goals were to achieve a more proportionate upper-to-lower lip ratio and enhance her profile by addressing mild chin retrusion. The result is a more balanced, confident appearance from both front and side views.
Breast Reduction
This woman in her 20s underwent breast reduction surgery to address discomfort and asymmetry from her naturally large, heavy breasts—estimated at a DDD cup size. Although she often wore loose-fitting clothing to conceal her chest, she desired a smaller, more proportional size and improved symmetry. The procedure reduced volume, lifted the breasts, and created a more balanced, youthful contour. She had not had any pregnancies at the time of surgery.
Tummy Tuck
This patient underwent a tummy tuck as part of her mommy makeover to address excess abdominal skin and muscle laxity following two pregnancies. The procedure flattened and tightened her midsection, enhancing her overall silhouette and restoring core strength and confidence.











































Our surgical and non-surgical treatment options
"Dr. Aimé is fantastic. Very knowledgeable and helpful in helping me figure out my goals and how to achieve them. Would highly recommend her and her services."
We’d love to hear from you
We hope that you have had an exceptional experience with us and we feel fortunate to have been entrusted with your care. We would greatly appreciate if you would take a moment to leave a review on one of our preferred sites below. Your thoughts and experiences are an invaluable guide for future patients on their own aesthetic journey.

Schedule a consultation with Dr. Aimé
Your journey starts with a conversation. Meet with Dr. Aimé to discuss your goals, ask questions, and create a personalized plan tailored to you.











































































.jpg)



























































































































































